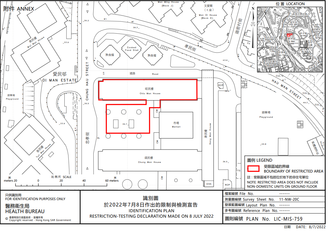
大公文匯全媒體報道,本港第五波疫情呈上升趨勢,今日(8日)新增2945宗確診個案,包括2748宗本地確診個案及197宗輸入個案。政府自下午5時起圍封何文田愛民邨昭民樓(不包括位於地下的非住宅單位)進行強制檢測,目標是在明日(9日)上午約11時完成此行動。視乎檢測結果,行動或會延長。
政府將於「受限區域」內設立臨時採樣站,並要求受檢人士於今晚11時前接受檢測。此外,任何於7月2日至7月8日期間曾身處上述大廈內超過兩小時的人士,即使在「相關宣告」開始生效時不在「受限區域」內,亦須在7月10日或之前接受強制檢測。
房屋署設立熱線電話2713 0121,由今日下午5時起運作,供受檢測宣告限制下的市民查詢及求助。社會福利署亦會為受影響的居民提供協助。
編輯:莫一傲
關鍵詞:圍封強檢何文田愛民邨昭民樓核酸檢測
評論
查看更多評論>>
加載中……
