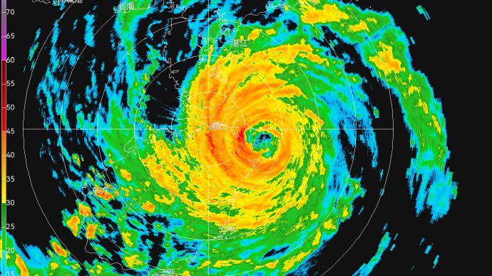
據央視新聞報道,颱風「摩羯」(超強颱風級)已於16時20分前後在海南文昌市翁田鎮沿海地區登陸,登陸時中心附近最大風力17級以上(62米/秒)。
預計,「摩羯」將繼續向西偏北方向移動,先後穿過文昌、海口、澄邁、臨高等市縣後,於6日下半夜至7日凌晨進入北部灣海面。
編輯:叁山
關鍵詞:颱風摩羯海南文昌
評論
字號:小
發表
查看更多
加載中……